Mesurage et certificats de Surface

A partir de relevé sur site, le CABINET PERRAUD, géomètre-expert, calcule, garantie et atteste la surface de tous vos biens immobiliers.
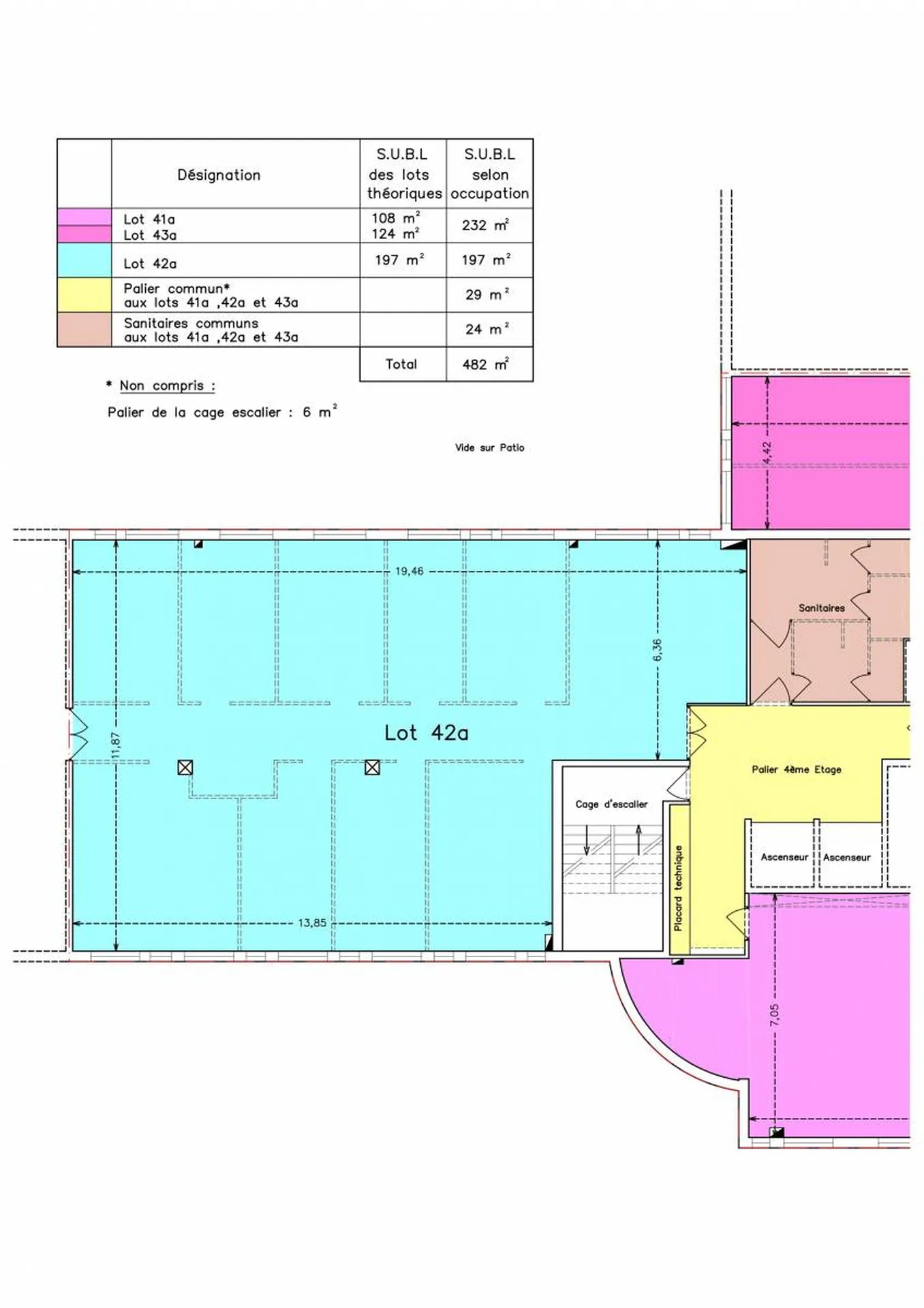
De la surface Carrez pour vos biens en copropriété, à la Surface Utile Brute pour vos bureaux en passant par la Surface de Plancher, le cabinet est en mesure de vous garantir toutes les surfaces bâties.
A l'aide de plans clairs et précis permettant de visualiser les éléments pris en compte pour le calcul de ces surfaces, le cabinet fournit lors de la livraison des fichiers excel détaillant niveau par niveau et pièces par pièces le détails des surfaces calculées.
Nous écrire
Les champs indiqués par un astérisque (*) sont obligatoires
Partager :